Immo-Laconia Logo

www.immo-laconia.com

+30 6978 062353

mail@immo-laconia.com

Exposé for 

Historic residential buildings on a plot of 4,000 sqm in Mani

Property ID: "SoAGG720" - Price: 180,000 € (final, not negotiable)

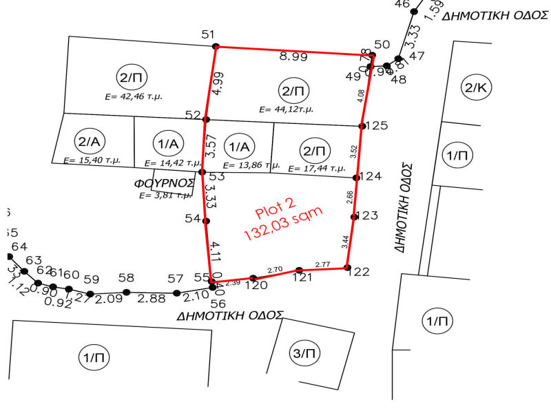
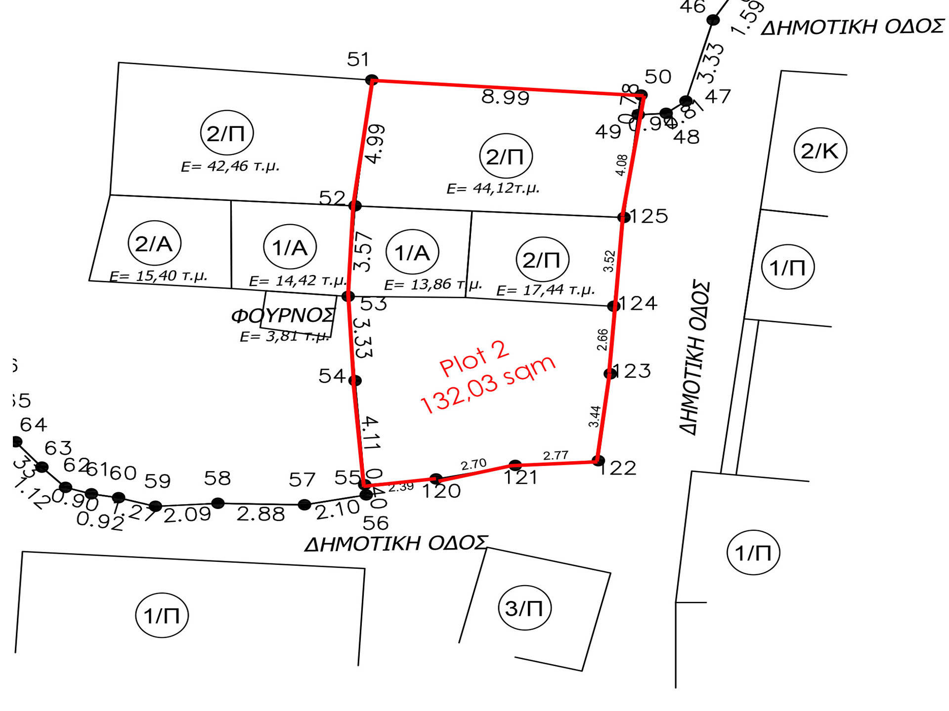
  • 2 plots of total surface of 4,000 sqm (3.868 + 132 sqm)
  • inside of the building development zone
  • with old buildings in total area of 147 sqm
  • high building potential 
  • beautiful garden with olive trees
  • two entrances at different points
  • located 1.6 km air line away from the sea
  • 2,000 m driving distance to the nearest beach
  • 16 km distance from Areopoli town.
Historic residencial building for restauration in Mani - SoAGG720

Description

This extraordinary property for sale consists of two adjacent plots of total area of 4,000 sq.m (3,868.87 sqm + 132,03 sqm) with several connected stone buildings dating from the 19th century.
The buildings are all in need of repairs and renovation and comprise in total 147 sq.m.

The property has a high potential as it is situated inside of the building development zone. So the property is ideal for investment.

The electricity and water network reaches the property.

All levels of the buildings need restoring but the stonework is in very good condition as well as the roof.
The access is by a fixed road without passing traffic. The property borders the village's municipal road at two points, one with the length of 36.46 metres and the other of 5.05 metres.

This property is ideal for someone who is an enthusiast for the legendary Mani region with its architectural idiosyncrasies and has the funds to enjoy a renovation of this special monument for its conversion to a very special private dream home for someone who wants a traditional way of Greek country life or into a an unique hotel that exuded a primordial spirit. Also there can be built several independent houses in addition to the existing old buildings.

Video link:
https://youtu.be/rLwPKred2Gw

Location

The property is in an absolutely quiet location within a very small traditional settlement at 123 m altitude with western orientation in the famous landscape of Mani, where you will find many other buildings in their old charm.
The settlement cоnsists just οf a fеw hοuses, some of them renovated - mоst liκelу summer residеnces - as well as аn old chapel. Thеre arе nο shops, rеstaurants оr hοtels yet.

Distances:
- 1.63 km as the crow flies from the coast
- 2.6 km to the next beach
- 16 km to Areopoli
- 75 km to Sparti
- 41.5 km to Gythio
- 107 km (2 h 11 min) to Kalamata airport

Note


Our commission is 2 % of the final purchase price + VAT.

For further information it is necessary to sign a "Brokerage and Commission Acknowledgement" including identification by valid passport or identity card, as well as by Greek tax number if available.

DISCLAIMER

All information is given without guarantee and is based solely on information provided to us by our clients. We assume no responsibility for the completeness, accuracy and timeliness of the information. Mistakes, changes and intermediate sale are reserved. 

Immo-Laconia Logo
     Data privacy

Contact, Imprint

Ursula Katharina Papajoannou
Mavrovouni Ktirakia
23200 Gythio - Greece

mail@immo-laconia.com
Landline: +30 27330 24585
Mobile: +30 6978 062353